Disclosure: This post contains affiliate links, and if you click on them and purchase a product, we will receive a small commission at no extra cost to you. Goodpetparent.com only shares products that we strongly believe in and feel would be beneficial for our readers.
If you were to ask a group of veterinary professionals to share what brings pets into their clinics most often, many would say that for dogs, it’s skin conditions (or eating stuff they’re not supposed to!), and for cats, it’s urinary problems.
Cats are especially prone to a condition called FLUTD, which stands for “Feline Lower Urinary Tract Disease.” FLUTD (previously known as FUS, or “Feline Urologic Syndrome”) is not really a distinct disease in itself. Rather, it describes a collection of conditions that can affect the bladder and urethra of cats.
The Urinary Tract
To better understand how FLUTD affects cats, first let’s take a quick look at how the urinary tract works.
The urinary tract is made up of the kidneys, which filter toxins out of the blood and create urine; the ureters, tubes that connect the kidneys to the bladder; the bladder, an elastic, muscular sac that serves as a reservoir for urine; and the urethra, which connects the bladder to the outside of the body where urine is expelled.
So What Exactly is FLUTD?
FLUTD is a syndrome that can have many possible causes, which sometimes makes it difficult to diagnose. It’s most frequently seen in middle-aged cats (cats age 3-7 years are at highest risk) who are overweight, get little exercise, live in multiple-cat households, and eat a dry diet. Stress and changes in routine have also been linked to cats developing FLUTD.
Any cats can be affected, although Persians and Himalayans seem to be affected more than other breeds. Both male and female cats can suffer from FLUTD, but males are most at risk for developing the most serious condition: urethral obstruction, a life-threatening blockage of the urethra.
FLUTD is NOT the same as a bladder infection. Bacteria are very rarely involved, as most of these are “sterile” inflammations. Some studies have suggested that occurrences seem to happen more often in the spring and fall, and after major holidays (which would support the theory that stress is a factor).
FLUTD is extremely painful. Cats with this condition will typically experience several days of symptoms, then may go several weeks without symptoms before they eventually relapse.
Symptoms
Symptoms of FLUTD include:
- Difficulty and pain when urinating
- Increased frequency of urination
- Decreased output of urine (or being completely unable to urinate)
- Crying out while urinating
- Blood in the urine
- Excessive licking of the genital area
- Urinating outside the litter box in unusual locations (often on cool, smooth surfaces like a tile floor, sink, or bathtub)
- Personality changes such as hiding or aggressive behavior
Any cat exhibiting these symptoms should be seen by a veterinarian immediately.
What Causes FLUTD?
FLUTD can be caused by a variety of factors. The most common include:
1. Feline Idiopathic Cystitis
Feline idiopathic cystitis, or FIC (also known as “feline interstitial cystitis”) is the most common diagnosis in cats with lower urinary tract signs. Cystitis is an inflammation of the bladder, and idiopathic means “of unknown cause”, so no one really knows what causes the inflammation.
FIC is the catch-all term used when tests fail to confirm the presence of another disease (such as urinary stones). Symptoms in cats diagnosed with FIC may resolve spontaneously on their own without treatment, but it’s always best to see your veterinarian for an accurate diagnosis and treatment plan.
Stress seems to play a big part in cats with FIC. Scientists are now studying how FIC in cats may be similar to interstitial cystitis in humans to help determine more effective methods of treatment.
2. Urinary Stones (Urolithiasis)

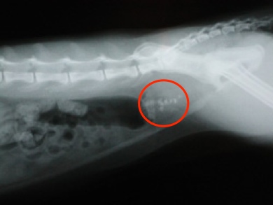
Urinary stones are solid collections of minerals that form in the urinary tract of cats, and yes, they look and feel like real stones. As you can imagine, these are extremely painful!
The two most common types of urinary stones in cats are struvite (also known as triple phosphate) stones and calcium oxalate stones.
Struvite stones are made up of normal components of urine that clump together under certain conditions (such as when the pH of urine gets too high). Fortunately, these stones are far less common than they used to be due to additives in commercial cat food that helps keep the urine at the proper pH.

Calcium oxalate stones, which were rare years ago, unfortunately are now becoming more common. The formation of these stones is linked to high blood calcium levels and an acidic urine pH.
Urinary stones are diagnosed using x-rays or ultrasound. Since cats that have formed a urinary stone are at a high risk for recurrence, veterinarians often recommend medication or dietary changes for them to help keep urine pH regulated.
3. Urethral Obstruction
Urethral obstruction is a potentially life-threatening condition in which a cat’s urethra becomes partly or totally blocked. This can be caused by a urinary stone getting lodged in the urethra, or by a urethral plug. These plugs are formed by a combination of several types of minerals, cells, and a mucus-like protein that stick together to create a soft, sticky plug that blocks the urethra.
Male cats are at greater risk for becoming “blocked” than females, because their urethra is longer and narrower. Obstruction of the urethra is a true medical emergency! If you suspect your cat is obstructed, time is of the essence and you need to seek immediate veterinary help.

If a cat becomes blocked, his kidneys will lose their ability to remove toxins from the blood (a condition known as uremia). If not treated immediately, electrolytes in the body will become unbalanced, causing heart failure and death. This can happen in as little as 24-48 hours, so it’s imperative that the cat receive immediate treatment to have the urethra unblocked.
A cat who is obstructed will initially have typical FLUTD symptoms: straining to urinate, going in and out of the litter box constantly, and producing very little (or no) urine. If not treated, the cat will become increasingly distressed, stop eating and drinking, cry out in pain, and eventually collapse.
Treatment for FLUTD
Treatment for FLUTD will depend on which condition is actually causing the symptoms.
If the culprit is urinary stones, your veterinarian may be able to help the stones pass through the urethra by flushing your cat’s bladder with sterile fluids. If the stones fail to pass, or if they keep recurring, surgery may be necessary to remove them. This surgery, called a cystotomy, involves going directly into the bladder to manually remove the stones.
For cats with struvite stones, a special diet may be prescribed to dissolve them. However, unlike struvite stones, calcium oxalate stones cannot be dissolved with diet, and may need to be removed surgically.
For urethral obstruction, treatment involves placing a catheter into the urethra to dislodge whatever is causing the blockage, allowing the urine to drain out. Catheterization usually requires sedation or anesthesia. After the obstruction is relieved, treatment will vary depending on the cat’s condition. IV fluid therapy is used to treat dehydration and electrolyte imbalances, while antibiotics are usually given to prevent infection. The cat will then be hospitalized for observation and treatment, usually for at least 48 hours – longer if the obstruction recurs immediately.
Pain management is very important in treating blocked cats, so veterinarians usually administer pain medication. In male cats, medications such as prazosin, phenoxybenzamine, or diazepam (Valium) may also be used to relax the urethra in an effort to reduce the likelihood of another obstruction.
If you have a male cat that suffers from multiple blockages, your vet may recommend an operation called a perineal urethrostomy. This surgery involves removing the penis and shortening and widening the urethra, which is then reattached to the outside of the body. This surgery may prevent further obstructions, but it has potential complications and may not entirely eliminate FLUTD episodes in your kitty, so it should only be considered as a last resort.
Even though bacteria are rare in FLUTD cases, some antibiotics (particularly Clavamox and amoxicillin) seem to have anti-inflammatory or pain relieving effects, so they may also be prescribed. Other anti-inflammatory drugs, such as steroids, are occasionally used when there is severe inflammation, but it has not been definitively proven that steroids are truly beneficial in these cases.
What You Can Do to Prevent Recurrences
If your cat is diagnosed with FLUTD, there are things you can do to try to prevent recurrences. Unfortunately, some cats will continue to experience episodes, but for many others, they may only have one or two experiences and never have the problem again. Recurrences also tend to decline as a cat gets older.
To Help Avoid Recurrences of FLUTD:
- Feed small meals on a frequent basis.
- If you feed dry cat food, switch to a high-quality canned food. In one study, 60% of cats on a single dry food were symptom-free for a year, compared to 90% of cats eating a single canned food.
- For cats with a history of struvite stones, you may want to consider feeding your cat a prescription diet that helps create more acidic urine. However, unless your veterinarian has prescribed urinary acidifiers, avoid using acidifying supplements because over-acidification can cause metabolic problems in your kitty.
- Provide clean, fresh water at all times in multiple locations to make it easier for your cat to drink.
- Increase your cat’s water intake by adding warm water to his canned food. You may also consider purchasing a pet water fountain – many cats are fascinated by these, and since the water continues to circulate, it tastes fresher and is more appealing to them.
- Provide an adequate number of litter boxes (one more than the number of cats in the household).
- Keep all litter boxes in quiet, safe areas of the house, and keep them very clean to encourage your cat to use them.
- Minimize major changes in routine.
- Reduce environmental stress, and provide daily opportunities to play interactively with your cat – especially “hunting” games using wand toys like a feather on a string, so your cat can chase and leap for them.
FLUTD Can Be Successfully Managed
If your cat is diagnosed with FLUTD, it’s important to remember that his condition may be completely resolved with proper care and management. Although there are some unfortunate cats who experience FLUTD episodes repeatedly, for many cats, this may occur only once or twice in their lifetimes.
Cats who have experienced FLUTD may need periodic recheck appointments after the episode to ensure they are no longer in danger of becoming obstructed. During these appointments, the veterinarian will usually collect a urine sample and perform a urinalysis to check for any abnormalities.
Since FLUTD remains a condition whose cause is not entirely known, it cannot truly be “cured” with one simple treatment, only managed. However, with proper diet, a cat-friendly, low-stress environment, and good veterinary care, urinary health for cats who have been diagnosed with FLUTD can be improved dramatically.
Has your cat ever been diagnosed with FLUTD? How did he or she respond to treatment? Please share your story with us in the comments below!

This disease is horrible. My cat, Lou, had a block last weekend. I took him to the emergency room at 6 pm and they felt his bladder and said he was not blocked and sent me home with prazosin, clavamox, buprenorphine and acepromaxine. I gave him the medicine, took away his dry food and replaced with a small amount of purina urinary tract kibble and gave him the urinary wet food which he completely snubbed. I went to bed around 10:00 pm. At 1:00 am in the morning I awoke to Lou on the end of my bed in agony, licking his genital area a lot, and crying. I immediately took him back to the emergency room where they inserted a catheter to relieve him of the blockage. It was horrifying experience and he was fractious by the time he left. They quoted $1700 to keep him in that awful place for 2 days. I didn’t have that kind of money so they sent him home with me. It has been 4 days since the emergency and he still is going in and out of the box, however, he has been playing and responding to the meds.
The problem is he won’t eat the urinary tract food. I have tried 3 different kinds and also bought raw food (which he liked at first but now snubs too). This truly is a nightmare. I have contacted my vet for a follow up. He still is going in and out of his box and peeing little amounts of fluid. I have put water everywhere to encourage drinking but he just won’t do it. I’m scared to leave him alone in case this happens again. To say this is manageable is just not true, maybe if he would eat the food it would be manageable. I have had two professionals say they wouldn’t blame me for euthanizing him. He is only a one year old beautiful siamese cat. It is breaking my heart. i don’t want to put him through surgery or another catheter episode. Please let me know if this will ever end.
Nanette, I’m so very sorry to hear about what Lou has been going through. This condition is frustrating on so many levels – not only for the pain it causes the cat, but also because it can develop into a life-threatening emergency in a matter of hours. The positive news about Lou’s condition is that he is still producing urine and is able to eliminate it, even if it’s in small amounts at a time, and that he’s responding to the meds. Catheterizing a cat causes trauma and inflammation, so afterwards the urethra can temporarily swell even more, making it even harder for the cat to pass urine. Over time this should improve, provided he doesn’t experience another blockage.
Regarding his food, sometimes if a cat won’t eat the canned urinary food, it’s better to get ANY type of wet food into them, even though the urinary formula is preferred. You can ask your vet about other types of food that aren’t necessarily urinary formulas, but are still high-quality wet foods to get you through these next few weeks until Lou is recovered and feeling better.
Unfortunately, I wish I could tell you that your kitty will never experience another episode, but I can’t. 🙁 However, many cats experience one or two episodes and go on to never experience another. Sadly, however, some cats will continue to block to the point that euthanasia becomes the only humane option. This happened to my sister’s cat, who blocked 4 times over the course of a month and was in a great deal of pain. It was a heartbreaking decision she was forced to make, but ultimately she had to euthanize him. However, in Lou’s case, if this is his first episode, here’s what I suggest: first, talk over your concerns with your veterinarian. Give Lou time to recover, time to respond to the meds, and time for the inflammation to resolve before making any decisions. Ask your vet about possibly switching to a non-urinary wet food that Lou will eat. If he absolutely won’t drink water (keep in mind he may be drinking small amounts overnight that you’re not aware of), have your vet check to make sure he’s not dehydrated and that he doesn’t need a quick shot of subcutaneous fluids under his skin to help his hydration level (which might also make him feel much better). Overall, I would suggest giving him time to recover from this and watching him closely to make sure he’s not completely blocked again before making any decisions. I wish you and Lou the best of luck, and please keep me updated on his progress!
What if cat is not blocked, but continues to have blood in urine, pees a tiny amount? I’m $1000+ into vet bills (BLOODWORK, URINALYSIS, X-RAYS, urinary food, on Clavamox) I also volunteer for our local TNR program and have taken in 5 cats, so stress could be a factor. How do I know when euthanasia is the humane option? Cat isn’t yowling in pain but wants to go outside all the time and wants to pee often, but then only goes a tiny bit (<teaspoon). I have seen her pee more and bladder doesn't feel full. Vet wants to start cat on Prazosin and, Prozac which could take 2 months before it even takes affect. Or ultrasound. I cannot afford these vet bills. $870+ to pull a cats tooth! Animals are suffering because of the costs of veterinary care. Why are cats getting this?
Hi Jane, I’m so glad you inquired! When I wrote this article several years ago, we did not know then what we know now about these episodes in cats. I am planning to revise and update the article shortly, but here’s what we know now:
Only a very small percentage (about 5%) of urinary issues in cats is caused by an actual infection. The vast majority (approx 95% by recent estimates) is caused by a syndrome called “Feline Idiopathic Cystitis” (FIC). FIC is caused by an inflammatory response that is almost always related to stress. The reason why I am much more updated now is because I recently went through this with my own 4-year old cat, Piper. My father had to be unexpectedly hospitalized, so I flew back to the Midwest to help care for him for 12 days. While I was gone, I had a wonderful cat sitter (one of my closest friends) who took excellent care of all 3 of my cats the entire time. However, when I got back, I noticed Piper kept going into and out of the litter box, sometimes every 15 minutes. The amount she was peeing was very small, ranging from clumps the size of a pea to a grape. She would also cry at times while she was peeing, but didn’t seem to be in pain otherwise.
Since she is female (and not likely to block), I immediately started researching. I have a veterinary background, so I used only vetted, accredited sources online, and also called my vet to thoroughly discuss it with him. In the process, I discovered several fascinating things about FIC. Here are the risk factors which are associated with most cats who develop FIC: they are relatively young at the onset of their first episode (between 2 and 6 yrs old), are indoor-only, living in multi-cat households, are competing for resources (food, water, access to litter boxes and their own private space), and are eating at least 50% dry cat food in their diet. However, the biggest risk factor that brings on the actual episode is STRESS. The most common triggers of of FIC include moving to a new house, adding a new pet (or pets) to your household, having visitors at your home for an extended period of time, traveling, getting a new roommate, pet sitters in your home – any major changes in routine. Piper ticked many of the boxes… age range, multi-cat household, me being gone for 12 days, pet sitter coming in, and we just recently moved into a new house.
So here’s the thing about FIC…it almost always resolves on its own within 5-10 days. That being said, a disclaimer: if you have a MALE cat who is straining to urinate, THIS SHOULD BE CONSIDERED A MEDICAL EMERGENCY AND YOU NEED TO GET HIM TO A VET TO MAKE SURE HE IS NOT BLOCKED. A blocked cat can die within 24 hours, so you need to have him examined to make sure he is not blocked. In your case, the cat is female, so she is at an extremely low risk of blocking (which is usually caused by crystals in the urine or bladder stones). I think you are spot on that stress is causing her issue. If she’s already been on antibiotics, is not blocked, and x-rays are negative for bladder stones, odds are very high that this is FIC, and an ultrasound will probably not tell you anything beyond what you already know. Before you spend any more money on medications or diagnostics, there are some things you can try in regards to modifying her environment to reduce her stress. First, if possible, change her diet to canned food ONLY (since kibble is dehydrating, and you want to increase and preserve her water intake). Make sure there are enough litter boxes inside (1 for every cat, plus one extra), and that they are located throughout the house, and they are scooped at least twice a day. Provide as many bowls of fresh water around the house that you can to encourage her to drink more. Pick up Feliway plug-ins (you can buy at PetSmart/Petco, and Chewy.com carries them online) and plug them in throughout the house. Make sure you are playing with her daily (wand toys that allow you to interact with them work great to alleviate stress in cats). Provide her multiple private places to hide (even if it’s just cardboard boxes), so she can retreat to what she feels like is a safe place. I’m happy to report that after I implemented more of these things in my own home with Piper, her FIC episode resolved in about 7 days. She is now back to her happy self, and I now know what to look for (and how to possibly prevent a future episode) when it comes to FIC.
These excellent articles have more in-depth information, and I encourage you to check them out: https://todaysveterinarypractice.com/current-thoughts-on-pathophysiology-treatment-of-feline-idiopathic-cystitis/ AND https://www.dvm360.com/view/feline-interstitial-cystitis-it-s-not-about-bladder . In the meantime, PLEASE don’t have this kitty euthanized!! This is a self-resolving, common condition that can be successfully managed with diet change (to wet food) and modifications to her environment. And now that you know what to look for, anything you can do to lessen her stress will help. If you have any additional questions, please don’t hesitate to email me directly at camille@goodpetparent.com. And please let me know how things go for you, and for your kitty!! 🙂
Hi MY cat suffers from chronic inflammation of the bladder. THis has been an ongoing problem since Nov 2020. today it is march 2021..and he STILL keeps blocking 5 times already. The PU operation was performed but still hasn’t helped. DR said it is not stones or crystals but inflammation. Vet seems at a loss of treatment..anyone have similar experiance or treatments that finally worked?
Update: My female cat is no longer on any treatments. I tried anti-depressant, antibiotics, anti-inflammatory drug, and nothing worked. If anything they made things worse. Spent over $1000. She and I just live with the spraying. Blood seems to only appear when she sprays a small amount, but not when peeing a lot. I think from straining? She actually has been spraying a lot less the past month or so. If stress related, I have done what I can.
We have a male cat who is about four years old. He has suffered blockages three times, leading to a PU surgery. Now, it’s been a few months since the PU surgery, and we have had to take him into the ER again. We are really concerned and considering euthanizing.any of the suggestions for treating this disease haven’t worked for us. He only eats dry food. He is overweight and all attempts to have him lose weight through following doctors orders have failed. He strains to pee and also (weirdly) suffers from incontinence, which we are trying to solve. We have a toddler, so it’s difficult for us to have a stress free home for him. What do people recommend? Financially, it’s also been tough…we have probably spent close to $6K dealing with this issue so far. Is this a situation where we could find him a better home that would help? Or is this a case where euthanizing would be best for our beloved kitty. It’s crushing us, but we feel at a loss.
I decided to let my cat do whatever she wants. If she wants to come inside I let her, if two minutes later she wants to go out again I let her. She seems to be back to being okay. No more urine/blood spraying. Suzy, maybe keep toddler away from the cat?